Sociales

Sociales

EN VIVO: El huracán Melissa tocó tierra en la isla de Jamaica con vientos que rozan los 300 kilómetros por hora

La tormenta de avance lento ya ha causado siete muertes en el Caribe. Las autoridades advierten que muchos residentes ignoran las órdenes de evacuación mientras se pronostica hasta un metro de lluvias

28 de octubre de 2025 14:17:00

El huracán Melissa se encuentra muy cerca de tocar tierra en Jamaica este martes, amenazando con inundaciones devastadoras y vientos de 280 km/h que las autoridades advierten destrozarán la infraestructura de la nación caribeña. La tormenta de categoría 5 -potencialmente la más grande que haya golpeado a Jamaica- ya ha causado siete muertes en la región, pero los funcionarios están preocupados porque muchas personas ignoran los llamados a evacuar.

El Centro Nacional de Huracanes informó que Melissa se encontraba a unos 185 kilómetros de Kingston. Se pronostica hasta un metro de lluvia, con el nivel del mar elevándose potencialmente hasta 4 metros en la costa sur. Muchos de los aproximadamente 880 refugios de la isla permanecían vacíos el lunes por la noche a pesar de las órdenes de evacuación.

"Para Jamaica será la tormenta del siglo hasta ahora", afirmó Anne-Claire Fontan, de la Organización Meteorológica Mundial. La naturaleza lenta de Melissa -avanzando a paso humano- significa que no habrá alivio rápido una vez que golpee. Los científicos dicen que el cambio climático causado por el ser humano ha exacerbado las tormentas masivas, aumentando su frecuencia e intensidad.

A continuación, la cobertura minuto a minuto del avance de Melissa:

En pocas líneas:

El huracán Melissa tocó tierra en el suroeste de Jamaica

Melissa en cifras: el huracán categoría 5 que marca récords históricos en el Atlántico

EEUU reubica sus activos militares en el Caribe ante la llegada del huracán Melissa

Advertencia del Centro Nacional de Huracanes a los jamaiquinos: "Última oportunidad para proteger sus vidas"

El huracán Melissa es el segundo más potente en la historia del Atlántico

El huracán Melissa se cierne sobre Jamaica como la tormenta más fuerte de su historia

El huracán Melissa tocó tierra en el suroeste de Jamaica

El huracán Melissa de categoría 5 tocó tierra en el suroeste de Jamaica cerca de New Hope a la 1:00 p.m. hora del este del martes, convirtiéndose en uno de los huracanes más poderosos jamás registrados en la cuenca del Atlántico. El Centro Nacional de Huracanes informó que Melissa impactó con vientos máximos sostenidos estimados de 295 km/h y una presión central mínima de 892 milibares.

El NHC advirtió que se trata de "una situación extremadamente peligrosa y amenazante para la vida" e instó a los residentes a no abandonar sus refugios mientras el ojo pasa por encima, ya que los vientos aumentarán rápidamente en el otro lado. "Para protegerse del viento, lo mejor que puede hacer es poner tantas paredes como sea posible entre usted y el exterior. Una habitación interior sin ventanas, idealmente una donde también puede evitar la caída de árboles, es el lugar más seguro", indicó el organismo.

Al momento de tocar tierra, Melissa se encontraba a unos 40 kilómetros al sureste de Negril, Jamaica, y aproximadamente 235 kilómetros al sur de Guantánamo, Cuba, moviéndose hacia el norte-noreste a 15 km/h. Los residentes deben permanecer en sus refugios durante el paso de estas condiciones que amenazan la vida.

Melissa en cifras: el huracán categoría 5 que marca récords históricos en el Atlántico

El huracán Melissa está a punto de convertirse en uno de los ciclones más devastadores de los últimos años, con características que lo colocan entre los más potentes jamás registrados en el Atlántico. Con vientos de casi 300 km/h y una presión extraordinariamente baja, la tormenta de categoría 5 amenaza con establecer récords históricos mientras se aproxima a tocar tierra en Jamaica en los próximos minutos.

Récords y cifras históricas:

Tercer huracán de categoría 5 en la actual temporada del Atlántico, marcando la primera vez desde 2005 que se forman tres o más ciclones de máxima intensidad en una temporada

Primer huracán categoría 5 en tocar tierra en el Atlántico desde Dorian en 2019, que devastó las Bahamas

Vientos máximos sostenidos de 297 km/h, los más altos registrados en lo que va de la temporada

Presión mínima de 892 milibares en su ojo, la tercera más baja en la historia del Atlántico después de Wilma (882 mb en 2005) y Gilbert (888 mb en 1988)

Lluvias acumuladas pronosticadas de 38 a 76 centímetros, con máximos locales de hasta 1 metro, potencialmente récord debido a su lento desplazamiento de 9 km/h

Nueve muertes confirmadas hasta ahora: tres en Jamaica, tres en Haití, dos en Panamá y una en República Dominicana

Contexto: El huracán Grace en 2021 fue el último en tocar tierra en Jamaica. Tras impactar la isla, se espera que Melissa cruce el sureste de Cuba el miércoles y llegue a las Bahamas el jueves.

Miles de personas son evacuadas en el este de Cuba

Las autoridades de la provincia oriental cubana de Holguín se prepararon el martes para evacuar a más de 200.000 personas, además de un número similar que ya había sido trasladado a lugares seguros desde la localidad de Banes.

Las redes sociales y la televisión estatal mostraron imágenes de autobuses azules y blancos que transportaban a los evacuados a los refugios. Las familias llevaban consigo a sus bebés y sus pertenencias, y las personas mayores se apoyaban en bastones para mantenerse en pie mientras bajaban del autobús.

"Este fenómeno es muy peligroso", afirmó el viceprimer ministro Eduardo Martínez en una declaración desde Banes, donde se encontraba en lo que parecía ser un refugio. "No tiene precedentes", dijo sobre el huracán Melissa.

Se esperan daños catastróficos por el viento en el centro de Melissa

"Va a ser una situación muy peligrosa", dijo Michael Brennan, director del Centro Nacional de Huracanes de EEUU en Miami, y advirtió que habría "fallas totales en los edificios".

Brennan dijo que las montañas más altas de Jamaica podrían sufrir ráfagas de viento de hasta 321 km/h.

"Es una situación catastrófica para Jamaica", afirmó.

Brennan señaló que Melissa tocaría tierra en el este de Cuba durante la noche del martes o la madrugada del miércoles.

Las autoridades jamaicanas instan a la población a buscar refugio y permanecer en sus casas

"Jamaica, no es momento de ser valientes", afirmó Desmond McKenzie, vicepresidente del Consejo de Gestión de Riesgos de Desastres de Jamaica.

McKenzie señaló que el Gobierno estaba preparado para llevar a cabo posibles rescates inmediatamente después de la tormenta.

"Contamos con barcos, helicópteros, todo lo que se pueda imaginar", afirmó.

Haití refuerza medidas de protección y evacuación por el fortalecimiento de Melissa

El gobierno haitiano decretó alerta roja en varios departamentos del sur y reforzó las evacuaciones este martes ante la amenaza inminente del huracán Melissa, que ya dejó tres muertos y 16 heridos en el país la semana pasada cuando aún era tormenta tropical. Cientos de personas han sido trasladadas a refugios temporales bajo supervisión de Protección Civil y fuerzas de seguridad, según confirmó el Ejecutivo en un comunicado oficial.

Las autoridades hicieron un llamado a la "responsabilidad colectiva" y al estricto cumplimiento de las instrucciones de seguridad para "preservar vidas humanas y reducir los daños materiales". El gobierno afirmó mantenerse "plenamente movilizado, trabajando sin descanso" para proteger a la población, al tiempo que agradeció el apoyo de socios internacionales y actores locales.

La situación humanitaria se complica por las necesidades inmediatas de refugio, agua potable y asistencia alimentaria, según reportó Unicef, que ya ha atendido a más de 2.000 personas en escuelas habilitadas como refugios. Haití mantiene una vulnerabilidad histórica ante fenómenos climáticos, recordándose especialmente el huracán Matthew de 2016 que causó 573 muertes, apenas seis años después del devastador terremoto de 2010.

Miles de personas sin electricidad y comunicaciones cortadas

Más de 240.000 usuarios se quedaron sin electricidad antes de que el huracán Melissa tocara tierra, y aproximadamente una cuarta parte del sistema de telecomunicaciones quedó fuera de servicio, según Darryl Vaz, secretario de Transporte y Energía.

Afirmó que el miércoles equipos de trabajo limpiarán y realizarán pruebas en los dos principales aeropuertos internacionales de la isla con la esperanza de recibir vuelos de ayuda de emergencia a partir del jueves.

"Superaremos esto. Dios bendiga a Jamaica", afirmó Vaz.

Las agencias preparan ayuda humanitaria para su rápida distribución tras el huracán

La Organización Internacional para las Migraciones de la ONU anunció el martes que enviará lámparas solares, cobijas, tiendas de campaña para interiores, generadores y otros artículos desde su centro logístico en Barbados a Jamaica tan pronto como la tormenta atraviese la isla.

"Es probable que muchas personas se vean desplazadas de sus hogares y necesiten urgentemente refugio y ayuda", afirmó Natasha Greaves, directora interina de la OIM en Jamaica.

Por su parte, la organización sin fines de lucro Direct Relief informó que tiene dos paquetes con medicamentos suficientes para tratar a 3000 personas durante un mes almacenados en Panamá y listos para ser enviados a Jamaica.

También enviará un cargamento de 100 botiquines de campaña desde su almacén en California a Jamaica tan pronto como se reabra el principal aeropuerto internacional de la isla.

Los refugios están abiertos, pero no todo el mundo acude a ellos

Familias se refugian en una

Familias se refugian en una escuela de Old Harbour, Jamaica, mientras el huracán Melissa se acerca a la isla. (Foto: AP/Matias Delacroix)

Las autoridades de Jamaica expresan su preocupación por el hecho de que no haya suficiente gente buscando refugio ante la llegada de la catastrófica tormenta.

Se abrieron más de 130 refugios en toda la isla, pero a última hora del lunes menos de 1000 personas habían acatado las órdenes de evacuación.

Una excepción fue la pequeña comunidad de Old Harbor, al oeste de Kingston. Alrededor de 200 personas se apiñaban en su refugio a última hora del lunes.

"Definitivamente son más que la última vez", dijo a la agencia AP Jason Fuller, bombero y voluntario del refugio, refiriéndose al número de personas que buscaron refugio del huracán Beryl el año pasado.

Afirmó que el equipo de voluntarios se ha asegurado de que haya comida, ropa de cama y seguridad suficientes con la presencia de policías y soldados en el lugar.

El huracán Melissa a punto de tocar tierra en Jamaica con vientos catastróficos

Un hombre observa el mar

Un hombre observa el mar desde el malecón de Kingston, Jamaica, este 27 de octubre de 2025, mientras el huracán Melissa -que alcanzó la categoría 5- se acerca a la isla (Ricardo Makyn / AFP)

El extremadamente peligroso huracán Melissa, de categoría 5, se encuentra a solo 60 kilómetros de Negril, Jamaica, y se espera que toque tierra en las próximas horas, según el más reciente boletín del Centro Nacional de Huracanes. El sistema mantiene vientos máximos sostenidos de 295 km/h y una presión central de 892 mb, ubicándose entre los huracanes más intensos jamás registrados en el Atlántico. La tormenta se mueve hacia el norte-noreste a 15 km/h, llevando consigo "vientos catastróficos, inundaciones repentinas y marejada ciclónica" que ya están afectando la isla.

Las advertencias de huracán permanecen activas para toda Jamaica, varias provincias del este de Cuba -incluyendo Las Tunas, Granma y Guantánamo- y las Bahamas sudorientales y centrales. Mientras tanto, se emitió aviso de tormenta tropical para Haití, la provincia cubana de Camagüey y las Islas Turcas y Caicos. Las autoridades enfatizaron que los residentes en Jamaica deben permanecer en refugios seguros, mientras que en Cuba y Bahamas las preparaciones deben completarse urgentemente.

Los meteorólogos advierten que Melissa provocará lluvias catastróficas de 38 a 76 centímetros en Jamaica, con máximos locales que podrían alcanzar hasta 1 metro, causando inundaciones repentinas potencialmente mortales y numerosos deslizamientos de tierra. Además, la marejada ciclónica podría alcanzar de 2.7 a 4 metros en la costa sur de Jamaica, acompañada de olas grandes y destructivas que representan una amenaza extrema para la vida.

EEUU reubica sus activos militares en el Caribe ante la llegada del huracán Melissa

El Comando Sur de Estados Unidos confirmó este martes que ha reubicado buques y aviones de guerra en el Caribe para protegerlos del inminente impacto del huracán Melissa. Entre los activos desplazados se incluyen siete buques de la Armada y cazas furtivos F-35 que participan en operaciones antinarcóticos en la región, aunque el portavoz militar aseguró que mantienen su capacidad operativa.

La medida se produce mientras Melissa se acerca a Jamaica, donde se esperan daños catastróficos en infraestructura. Las fuerzas estadounidenses podrían ser solicitadas para brindar asistencia humanitaria, aunque el Comando Sur no confirmó planes concretos de ayuda. Simultáneamente, el Pentágono reportó que continúan las operaciones antinarcóticos en el Pacífico, donde este lunes murieron 14 personas en nuevos ataques.

Esta reubicación temporal afecta temporalmente las operaciones estadounidenses en el Caribe, incluyendo los ataques contra presuntos narcotraficantes que han dejado al menos 57 muertos según cifras de AFP.

La presión de Melissa es casi sin precedentes

El huracán Melissa registra una presión central de 892 milibares, según el reporte de las 10 a.m. ET del Centro Nacional de Huracanes. Este valor, que mide la intensidad de un ciclón - donde a menor presión corresponde mayor fuerza - sitúa a Melissa en una categoría histórica entre los huracanes del Atlántico.

Con esta lectura de presión, Melissa se convierte en el tercer huracán más intenso jamás registrado en la cuenca atlántica. Solo los huracanes Wilma (882 mb en 2005) y Gilbert (888 mb en 1988) han registrado presiones más bajas. Melissa supera a huracanes notorios como Milton (895 mb en 2024) y Rita (895 mb en 2005), según reporta CNN.

La combinación de su presión récord y vientos máximos sostenidos de 298 km/h (185 mph) consolida a Melissa como el segundo huracán más fuerte en términos de velocidad del viento en la historia del Atlántico, igualando el récord de otros cuatro ciclones históricos.

Advertencia del Centro Nacional de Huracanes a los jamaiquinos: "Última oportunidad para proteger sus vidas"

El Centro Nacional de Huracanes advirtió el martes que esta es la "última oportunidad" para que los jamaiquinos protejan sus vidas mientras la isla se prepara para los "vientos catastróficos" del huracán Melissa. "Última oportunidad para proteger sus vidas. ¡Esta es una situación extremadamente peligrosa y potencialmente mortal! ¡Busquen refugio ahora!", declaró el NHC con base en Estados Unidos en su actualización de las 10:00 a.m.

El organismo advirtió que no buscar refugio podría resultar en lesiones graves y muerte. "Para protegerse del viento, lo mejor que puede hacer es poner tantas paredes como sea posible entre usted y el exterior. Una habitación interior sin ventanas, idealmente una donde también pueda evitar la caída de árboles, es el lugar más seguro en un edificio. Puede cubrirse con un colchón y usar un casco para mayor protección", indicó.

En la misma advertencia, el NHC señaló que Melissa continúa fortaleciéndose, con vientos máximos sostenidos de 295 km/h. El huracán de categoría 5 se encuentra a minutos de tocar tierra en Jamaica, donde se esperan vientos que causarán "fallas estructurales totales" cerca de su trayectoria.

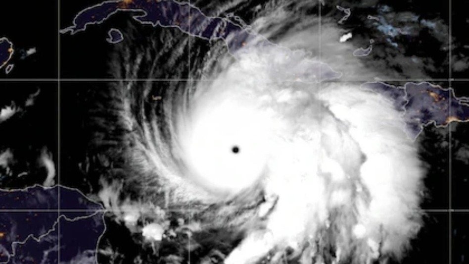
Imágenes satelitales revelan el imponente "efecto estadio" en el ojo del huracán Melissa

Imágenes satelitales revelaron una vista impresionante del huracán Melissa de categoría 5 este martes. La imagen visible desde el espacio muestra un fenómeno notable conocido como el "efecto estadio" en el ojo de la tormenta, donde las imponentes nubes de la pared del ojo adoptan la apariencia de asientos circulares en un estadio deportivo.

Este fenómeno, observado en muchos huracanes poderosos, es causado por el aire que se eleva rápidamente hacia afuera cerca del ojo. Esto hace que las nubes en la parte superior de la pared del ojo sean más anchas en diámetro que las capas inferiores más cercanas al océano, produciendo una apariencia de cuenco cuando se observa desde el espacio.

El efecto también es visible para los Cazadores de Huracanes que vuelan a través de la tormenta. Las imágenes confirman la estructura extremadamente organizada y poderosa de Melissa mientras avanza hacia Jamaica con vientos de 290 km/h.

La ruta de Melissa: hacia dónde irá el devastador huracán luego de atravesar Jamaica

El fenómeno meteorológico mantiene su intensidad máxima y preocupa a expertos por su lento desplazamiento, lo que podría provocar lluvias extremas y marejadas en varias islas del Caribe occidental

El huracán Melissa, que ya azota la isla de Jamaica, se perfila ahora hacia nuevos destinos en el Caribe con un peligro que va mucho más allá de los vientos: su desplazamiento lento amenaza lluvias torrenciales, marejadas ciclónicas y una devastación prolongada.

El cambio climático intensifica al huracán Melissa y aumenta su poder devastador, advierten los científicos

"Las aguas más cálidas alimentan eventos meteorológicos más violentos", coincidieron los expertos consultados por Infobae. El calentamiento del océano está acelerando y amplificando la furia de las tormentas

Fuente: Infobae


Comparte tu opinión, dejanos tu comentario

Los comentarios publicados son de exclusiva responsabilidad de sus autores y las consecuencias derivadas de ellos pueden ser pasibles de sanciones legales.

Amistoso Internacional

14/11/2025 19:49:00

Amistoso Internacional

14/11/2025 19:49:00

La Selección Argentina le ganó 2-0 a Angola en su último partido del año

Policiales

Turismo Carretera

13/11/2025 15:13:00

49 inscriptos para la penúltima en Toay

13/11/2025 15:13:00

leer mas

Sociales

13/11/2025 14:54:00

Reclamo salarial del gremio URGARA

13/11/2025 14:54:00

Necrológicas


†Norma Noemi Sanchez De Ferreiro.

FALLECIO EN B JUAREZ EL DIA 13/11/2025. EDAD: 77. AÑOS. SEPELIO: 13/11/25. HORA: 17:00. VELATORIO: NO SE EFECTUA.. RESPONSO: CAPILLA ARDIENTE. HOGAR DE DUELO: ALEM 282.

†Haydee Noemi Madril Vda. De García. (Negrita)

FALLECIO EN B JUAREZ EL DIA 11/11/2025. EDAD: 78 AÑOS. SEPELIO: 12/11/25. HORA: 10:30. VELATORIO: FALUCHO 75. A PARTIR DE LAS 08:00HS. RESPONSO: CAPILLA ARDIENTE. HOGAR DE DUELO: PELLEGRINI 172.

†Horacio Dámaso Argüelles

Falleció en B. Juárez, a la edad de 83 años, el día 09 de noviembre de 2025. Nancy, Chalo, Vicki, Fernando y Mariana participan con pesar, y acompañan en este momento de profundo dolor a sus hijos, familiares y amigos.

†Horacio Dámaso Argüelles

Falleció en B. Juárez, a la edad de 83 años, el día 09 de noviembre de 2025. Mabel Laurencena de Uhart y sus hijos Martín y Mariano participan con hondo pesar su fallecimiento y acompañan a la familia Argüelles ante la irreparable pérdida.

Cultura

12/11/2025 09:58:00

Cultura. Desde el otro lado del charco, con la tradición a cuestas

12/11/2025 09:58:00

Gimnasia Artística

11/11/2025 23:49:00

Gimnasia Artística. Serena Musciatti, una campeona con raíces juarenses

11/11/2025 23:49:00

Especial de Bochas

11/11/2025 23:42:00

Especial de Bochas. Fin de semana con excelente propuesta en AOMA

11/11/2025 23:42:00

Liga Agraria

11/11/2025 22:15:00

Liga Agraria. Mataderos venció a BJ y es único lider e invicto

11/11/2025 22:15:00

Fútbol Senior +40

11/11/2025 22:07:00

Fútbol Senior +40. Finalizó la fase regular, el sábado se inicia la Copa de Oro y Plata

11/11/2025 22:07:00

Sociales

11/11/2025 20:01:00

Sociales. Fallecimiento: Haydee Noemi Madril Vda. de García (Negrita)

11/11/2025 20:01:00

Clima

11/11/2025 18:34:00

Clima. Lluvia del día 11-11 - 25 acumulado hasta las 17 horas

11/11/2025 18:34:00

Mar y Sierras A

11/11/2025 18:14:00

Mar y Sierras A. Manuel García correrá con el N°2 en el 2026

11/11/2025 18:14:00

Copyright © 2025 | El Fenix Digital - El diario independiente de la mañana